Anthomyiidae Diptères CYCLORRHAPHES. Considérés comme une sous-famille des Muscidae.
Les
Anthomyiiens ont leur nervure anale prolongée jusqu'au bout de l'aile. Abdomen avec 4 segments apparents. Les yeux sont rapprochés chez les mâles, écartés chez les femelles. Nervure transversale apicale nulle, la 4e nervure rectiligne ou exceptionnellement coudée sur la 3e. Cuillerons plus ou moins développés.
Les femelles sont ovipares, exceptionnellement larvipares (Hylemyia strigosa et variata). Les larves sont phytophages ou saprophages, exceptionnellement parasites.
____________________________________________________________________________________________________________________________________
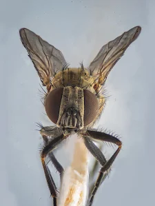
Anthomyia pluvialis Anthomyie pluviale ou Mouche des pluies
 |
| 14 08 2016 LC6mm |
 |
| 14 08 2016 LC6mm |
 |
| 14 08 2016 LC6mm |
 |
| 14 08 2016 LC6mm |
 |
| 15 08 2016 LC5mm |
 |
| 14 08 2016 LC6mm |
_________________________________________________________________________________________________________________________________________
Pegomya hyoscyami Pégomye
Les larves minent les feuilles de betterave ou d'épinard.
%20exp.jpg) |
| 02 08 2018 LC6mm |
%20exp.jpg) |
| 02 08 2018 LC6mm |
%20exp.jpg) |
| 02 08 2018 LC6mm |
%20exp.jpg) |
| 02 08 2018 LC6mm |
%20exp.jpg) |
| 02 08 2018 LC6mm |
%20exp.jpg) |
| 02 08 2018 LC6mm |
%20exp.jpg) |
| 02 08 2018 LC6mm |
%20exp.jpg) |
| 02 08 2018 LC6mm |
_________________________________________________________________________________________________________________________________________
Pegomya bicolor
%20exp.jpg) |
| fem LC5,5 02 08 2023 |
%20exp.jpg) |
fem LC5,5 02 08 2023
|
%20exp.jpg) |
| fem LC5,5 02 08 2023 |
%20exp.jpg) |
| fem LC5,5 02 08 2023 |
%20exp.jpg) |
| fem LC5,5 02 08 2023 |
%20exp.jpg) |
| 04 08 2023 LC5mm |
%20exp.jpg) |
| 04 08 2023 LC5mm |
%20exp.jpg) |
| 04 08 2023 LC5mm |
%20exp.jpg) |
| 04 08 2023 LC5mm |
_________________________________________________________________________________________________________________________________________
Coenosia tigrina Mouche tigresse
L'adulte est prédateur de petits insectes
%20exp.jpg) |
| 30 07 2020 LC4,5mm |
%20exp.jpg) |
| 30 07 2020 LC4,5mm |
%20exp.jpg) |
| 30 07 2020 LC4,5mm |
%20exp.jpg) |
| 30 07 2020 LC4,5mm |
_________________________________________________________________________________________________________________________________________
Phaonia pallida
 |
| 07 08 2016 LC7mm |
 |
| 07 08 2016 LC7mm |
 |
| 07 08 2016 LC7mm |
 |
07 08 2016 LC7mm
|
_________________________________________________________________________________________________________________________________________
Phaonia pagana
%20exp.jpg) |
| LC8mm 09 08 2024 |
%20exp.jpg) |
| LC8mm 09 08 2024 |
%20exp.jpg) |
| LC8mm 09 08 2024 |
_________________________________________________________________________________________________________________________________________
Hydrotaea dentipes
 |
| 29 07 2015 mâle LC6mm |
 |
| 29 07 2015 mâle LC6mm |
 |
| 29 07 2015 mâle LC6mm |
_________________________________________________________________________________________________________________________________________
Helina reversio
 |
| 02 08 2015 LC5,5mm |
 |
| 02 08 2015 LC5,5mm |
 |
| 02 08 2015 LC5,5mm |
 |
| 02 08 2015 LC5,5mm |
 |
| 02 08 2015 LC5,5mm |
 |
| 02 08 2015 LC5,5mm |
 |
| 29 07 2015 |
 |
| 29 07 2015 |
 |
| 29 07 2015 |
 |
| 31 07 2015 LC6mm |
 |
| 31 07 2015 LC6mm |
 |
| 31 07 2015 LC6mm |
 |
| 31 07 2015 LC6mm |
 |
| 31 07 2015 LC6mm |
 |
| 31 07 2015 LC6mm |
 |
| 10 08 2015 |
 |
| 10 08 2015 |
 |
| 10 08 2015 |
 |
| 30 07 2015 |
 |
| 30 07 2015 |
 |
| 30 07 2015 |
_________________________________________________________________________________________________________________________________________
Helina evecta femelle
 |
| 15 08 2016 LC7,5mm |
 |
| 15 08 2016 LC7,5mm |
 |
| 15 08 2016 LC7,5mm |
 |
| 15 08 2016 LC7,5mm |
 |
| 15 08 2016 LC7,5mm |
 |
| 15 08 2016 LC7,5mm |
_________________________________________________________________________________________________________________________________________
Fucellia tergina ?
%20exp.jpg) |
| 02 08 2021 LC5,5mm |
%20exp.jpg) |
| 02 08 2021 LC5,5mm |
_________________________________________________________________________________________________________________________________________
NON IDENTIFIES
Lispe litorea ?
Anthomyiidae très vive, cette petite mouche vit près des flaques d'eau au bord des
rivières à la recherche de petits insectes noyés dont elle aspire les
sucs. Du fait du revêtement de ses pattes, elle peut marcher
sur l'eau. En étalant ses pattes de manière rigide, elle est capable de
se propulser, tel un hydravion, en battant des ailes et se laissant
glisser d'un bord à l'autre de la flaque, à toute vitesse.
%20exp.jpg) |
| 22 08 2021 LC4mm |
%20exp.jpg) |
| 22 08 2021 LC4mm |
%20exp.jpg) |
| 22 08 2021 LC4mm |
%20exp.jpg) |
| 22 08 2021 LC4mm |
%20exp.jpg) |
| 22 08 2021 LC4mm |
%20exp.jpg) |
| 22 08 2021 LC4mm |
_________________________________________________________________________________________________________________________________________
Phaonia sp. ?
%20exp.jpg) |
| 11 08 2024 mâle LC6mm |
%20exp.jpg) |
| 11 08 2024 mâle LC6mm |
%20exp.jpg) |
| 11 08 2024 |
%20exp.jpg) |
| 11 08 2024 mâle LC6mm |
%20exp.jpg) |
| 11 08 2024 mâle LC6mm |
_________________________________________________________________________________________________________________________________________